De Caro, S., 1983. Notizie
di vecchi scavi. Una tomba antica nel cimitero di Pompei, in Pompeii Herculaneum Stabiae, Boll. Assoc. Amici di Pompei I,
1983, pp. 41-48.
Della Corte, M.,
1936. Notizie degli Scavi di Antichità, 1936, p. 352.
Soricelli G. L., 2002. Divisioni agrarie romane e occupazione del
territorio nella piana Nocerina-Sarnese in AGER CAMPANUS, Tav. VIII, p.
123-9.
Stefani, G., 1998. Pompei oltre la
vita: Nuove testimonianze dalle necropoli. SAP Exhibition
Catalogue, p. 112.
Varone, A., 1987.
Comune di Pompei. Via Nolana, area a nord del Cimitero, in Rivista di Studi
Pompeiani I, 1987, pp. 159-161.

Tomba e villa in
località Cimitero di Pompei. Numero 5 del piano di localizzazione 2002 di Gian Luca Soricelli.
Number 5 on 2002 location plan by Gian Luca Soricelli.
Nella seconda
metà dell'agosto del 1933, (Note 1) durante i lavori di scavo per le fondazioni
del muro perimetrale nord del cimitero di Pompei, gli operai che aprivano la
trincea attraverso i livelli di pomici dell'eruzione del 79 d. C. si imbatterono in una tomba antica (fig. 1).
Informato dal
Podestà, l'allora Direttore degli Scavi, Matteo della Corte, dispose che fosse
completata l'esplorazione del piccolo monumento e curò che ne fosse eseguita
un'essenziale documentazione grafica e fotografica (fig. 2). Ottenne infine di
far spostare la linea del muro del cimitero di quel tanto che consentisse di
salvare e proteggere la tomba sotto il tetto del portico (fig. 3). Tali misure
di salvaguardia e la sacertà del luogo sono effettivamente valse a preservare
il monumento che ci è pervenuto, nonostante la lunga carenza di manutenzione,
in discrete condizioni di conservazione. Restato tuttavia pressoché inedito (Note
2) ed ignoto anche agli studiosi che hanno maggior dimestichezza con i
monumenti pompeiani per la sua particolare collocazione e l'isolamento dal
complesso urbano antico, intendiamo con questa breve nota colmare la lacuna
presentandone i dati descrittivi essenziali e la relativa documentazione (fig.
4).
Il sepolcro,
inquadrabile nel tipo a nicchia, (Note 3) è costituito da un sacello a pianta
all'incirca quadrata (lungh. lato frontale = m. 1,61;
lungh. parete posteriore = m. 1,58; lungh. pareti laterali = m. 1,48 e 1,50) aperto sul lato
anteriore orientale e chiuso sugli altri tre con muri a struttura in opera
incerta rivestita di intonaco bianco con cantonali e ammorsature in tufelli
raccogliticci di tufo giallo, lava, schegge di laterizio.
A circa m.
0,80 di spiccato dal piano di campagna antico, i muretti laterali si
ispessiscono formando quasi una fascia di architrave alta m. 0,23 che corre,
sporgendo di cm. 2, tutt'intorno al monumentino. Su questa fascia poggia la
copertura (h. max. = m. 1,18), a doppio spiovente, costituita da lastre di
terracotta (tegole) ricoperte di rozzo intonaco, leggermente sporgenti fuori
della verticale delle pareti.
Lo spazio
interno della tomba è coperto da una voltina a tutto sesto (raggio = m. 0,50)
che sulla fronte forma un arco in conci regolari di tufo di Nocera e calcare
del Sarno rivestito in antico di fine intonaco bianco, oggi ancora piuttosto
ben conservato. L'interno della tomba, il cui piano pavimentale si
approfondisce di circa m. 0,35 rispetto al piede delle pareti esterne,
presenta, appoggiato alla parete di fondo, un bancone in muratura alto circa m.
0,40 e profondo m. 0,25; due fori circolari su di esso, corrispondenti alle
terminazioni di due tubi fittili, indicano, come in altre tombe a Pompei e nel
mondo romano, (Note 4) l'apprestamento dei condotti destinati a far giungere le
rituali offerte funerarie all'ossuario del defunto murato nel bancone. Le
pareti laterali presentano due riseghe, più larga (m. 0,08) quella sulla parete
meridionale alta come il bancone di fondo, più stretta (m. 0,03) e col piano
più basso e obliquo quella sulla parete settentrionale. Intonacata
completamente di fine tectorio bianco, la tomba è ornata all'interno da una
sobria decorazione pittorica, tuttora ben leggibile (fig. 5). All'altezza della
modanatura esterna d'architrave, quasi a continuarla, è dipinta una fascia
architettonica raffigurante blocchi di pietra posti alternatamente di testa e
di taglio. I singoli blocchi, di colore bianco come il fondo, sono delineati da
listelli esterni in nero bruno e da riquadri interni di anatirosi
con linee di contorno di colore rosso; su ogni blocco sono dipinti in giallo e
verde motivi decorativi di rosette a punti, a petali lobati, a mazzetto. La
fila di blocchi, inserita fra due fasce continue orizzontali, è coronata in
alto da una serie di antefisse a palmette a sette petali alternate a doppi
triangoli con volute laterali. In basso reca sospesi festoni fissati da nodi di
vittae avvolgentisi intorno ad essi. Il motivo
decorativo, ancorché modestamente interpretato, si ricollega da un lato ai modi
della pittura di II stile per la finta architettura, completa di coronamento e
di ghirlande, (Note 5) dall'altro ad un repertorio, quello delle ghirlande e/o
festoni, tipico dell'arte funeraria con un continuum che va dal primo ellenismo
alla tarda età romana. Citiamo così, a titolo esemplificativo, la decorazione a
rilievo della tomba delle Ghirlande fuori Porta Ercolano a Pompei o la
decorazione pittorica a ghirlande, tenie e bucrani della camera funeraria
scoperta nel 1921 a Napoli durante i lavori della «direttissima» nella zona di
via Foria. (Note 6) Rispetto a quest'ultima, datata da un'iscrizione e dalle
pitture di tardo II stile all'età augustea, la tomba pompeiana appare comunque
più tarda sia per gli ornamenti dipinti sul bugnato sia per il tipo stesso del
monumento a nicchia che compare a Pompei solo negli ultimi decenni di vita
della città; cronologia questa deducibile anche dall'eccellente stato di
conservazione in cui fu rinvenuto il monumento.
Al centro
dello spazio interno dell'edicola fu rinvenuta una piccola ara da tempo
purtroppo scomparsa. Alta m. 0,54, a base quadrata di m. 0,28 di lato, presentava
base e cornice sporgenti formate da laterizi. Sulla superficie bianca
dell'intonaco di rivestimento era una modesta decorazione pittorica (fig. 6)
con motivi di festoni con bende attorcigliate fissate da nodi agli angoli,
motivo che, tipico delle are - si ricordino ad esempio le are funerarie con
ghirlande a rilievo della tomba delle Ghirlande a Porta Ercolano -, ripete,
semplificandolo quello delle pareti del monumento. Al di sopra del festone sul
lato anteriore era dipinto un fiore tra due foglie. Al di sotto di esso era una
scena di combattimento tra due pigmei armati di cesti, dipinti in monocromo
giallo. Il tema del pugilato ed in genere del gioco funerario, di antichissima
ascendenza, è qui interpretato in chiave «nilotica» utilizzando i personaggi di
quel repertorio che aveva goduto del più grande favore in Campania e in Lazio
dalla fine del II sec. a. C. alla fine fine del I
sec. a. C. (Note 7)
Completano
infine il monumento due bassi podi in muratura in opera incerta rivestiti di intonaco
bianco grossolano che corrono, prolungando la linea delle pareti dell'edicola,
ai lati dell'apertura, a proteggere l'accesso dall'accumularsi della terra e
nello stesso tempo con funzione di sedili usati in occasione delle periodiche
cerimonie funerarie.
Nessuna
epigrafe lapidaria corredava purtroppo il piccolo monumento: è tuttavia
probabile che un'iscrizione a carboncino, ripetente due volte il cognome
CLEMENS sulla parete di fondo, indichi per la sua posizione il titolare del
sepolcro. (Note 8) Quanto all'altro titolo, PARIS, cognome frequente
nell'epigrafia pompeiana, (Note 9) graffito sulla parete destra della tomba, si
dovrà pensare ad un occasionale visitatore della tomba. Il problema topografico
costituito dalla posizione isolata di questo monumento rispetto alle altre
necropoli pompeiane è stato ora (dicembre 1983) chiarito dall'esplorazione
dell'area a nord del cimitero con il rinvenimento di una nuova villa. Come già
era stato verificato per il non lontano sepolcreto degli Arrii (Note 10) siamo
anche qui in presenza di una tomba (o di un gruppo di tombe?) prediale relativa
alla villa cui era collegata da un sentiero ora intravisto nei primi saggi di
esplorazione.
Stefano De
Caro
Nota 1: Il
fascicolo d'archivio della Soprintendenza contiene la nota di Della Corte, le
relazioni di scavi dell'assistente G. D' A vino, le disposizioni di Maiuri
sulle misure di salvaguardia. I nuovi rilievi sono del disegnatore Ciro Vito.
Nota 2: Una brevissima
notizia del rinvenimento fu data da M. DELLA CORTE in NSc
1936, p. 352.
Nota 3: Simile a
questo è il piccolo monumento nell'area sepolcrale degli Arrii fuori Porta
Ercolano, segnato col numero 41 sulla pianta Eschebach (in H. ESCHEBACH, Die städtebauliche Entwicklung des antiken Pompeji, RM XVIII Ergänzungsheft,
Heidelberg 1970): cfr. ora V. KOCKEL, Die Grabbauten vor dem Herkulaner Tor in
Pompeji, P. R. von Zabern, Mainz, 1983, p. 180 e ss., tav. 67a-b (infra citato
Grabbauten). Altrettanto dicasi delle tombe n. 25 a OS e n. 17 bis a-b OS della
Necropoli di Porta Nocera: cfr. S. DE CARO - A. D'AMBROSIO, in Un impegno per
Pompei. Fotopiano e documentazione della necropoli fuori Porta Nocera, Touring
Club Italiano, Milano 1983, schede relative; infra citato Necropoli.
Nota 4: Per l'uso
cfr. J. TOYNBEE, Death and Burial in the Roman
World, 1971; V. KOCKEL, Grabbauten cit., passim; S. DE CARO - A.
D'AMBROSIO, Necropoli cit., passim.
Nota 5: cfr. ad
es. le pitture del tablino della casa di Obellio Firmo, IX, 10, 1-4, NSc 1911, p. 216 fig. 2.
Nota 6: cfr. A.
LEVI, Camere sepolcrali scoperte in Napoli durante i lavori della
Direttissima Roma - Napoli in MALinc, XXXI, 1926,
p. 377 e ss., fig. 8.
Nota 7: cfr. AA.
VV., Pompei, 1748 - 1980. I tempi della documentazione, Catalogo della
Mostra Roma - Napoli 1981, Roma 1981, p. 164.
Nota 8: Analogamente
erano scritti a carboncino i nomi dei defunti all'interno della tomba dei Flavi
a Porta Nocera: cfr. S. DE CARO - A. D' AMBROSIO, Necropoli cit., Tomba 7
OS.
Nota 9: cfr. CJL,
IV, Indices, p. 775.
Nota 10: Per il
sepolcreto degli Arrii, cfr. NSc 1929, p. 188 e ss.;
cfr. anche M. DELLA CORTE, Case e abitanti di Pompei, Fiorentino, Napoli
3a ed., 1965, p. 113 e nota 3.
In the second half of August
1933, (Note 1) during the excavation work for the foundations of the north
perimeter wall of the Pompeii cemetery, the workers who opened the trench
through the pumice levels of the eruption of 79 AD. C. came across an ancient
tomb (fig. 1).
Informed by the Mayor, the then
Director of the Excavations, Matteo della Corte, ordered that the exploration
of the small monument be completed and he made sure
that essential graphic and photographic documentation was made (fig. 2).
Finally, he obtained the line of the cemetery wall to be moved just enough to
save and protect the tomb under the roof of the portico (fig. 3). These
safeguards and the sacredness of the place have effectively served to preserve
the monument that has come down to us, despite the long lack of maintenance, in
fair conditions of conservation. However, it has remained almost unpublished
(Note 2) and also unknown to scholars who are more familiar with Pompeian
monuments due to its particular location and isolation from the ancient urban
complex, with this brief note we intend to fill the gap by presenting the
essential descriptive data and the related documentation (fig. 4).
The sepulchre, which can be classified in the
niche type, (Note 3) consists of a shrine with an approximately square plan
(front side length = 1.61 m; rear wall length = 1.58 m; side walls length =
1.48 and 1.50 m) open on the eastern front side and closed on the other three
with walls with an opus incerta structure covered with white plaster with cantonals and toothing in yellow tuff, lava and brick
splinters.
At about 0.80 m. high above the ancient countryside ground level, the side walls thicken forming almost a band of architrave 0.23m high that runs, protruding 2cm, all around the monument. The double sloping roof (h. Max. = 1.18 m) rests on this band, consisting of terracotta slabs (tiles) covered with rough plaster, slightly protruding from the vertical of the walls.
The internal space of the tomb
is covered by a round arched vault (radius = 0.50 m) which on the front forms
an arch in regular ashlars of tuff from Nocera and limestone from Sarno covered
in ancient fine white plaster, today still quite well preserved. The interior
of the tomb, the floor of which deepens by about m. 0.35 with respect to the
foot of the external walls, has, leaning against the back wall, a masonry
counter, about 0.40m high and 0.25m deep; two circular holes on it,
corresponding to the terminations of two clay pipes, indicate, as in other
tombs in Pompeii and in the Roman world, (Note 4) the preparation of the
conduits destined to bring the ritual funeral offerings to the ossuary of the
deceased walled into the counter. The side walls have two recesses, wider (0.08
m) the one on the southern wall as high as the back counter, narrower (0.03 m)
and the lower and oblique one on the northern wall. Completely plastered with
fine white covering, the tomb is decorated inside with a sober pictorial
decoration, which is still legible (fig. 5). At the height of the external
lintel moulding, as if to continue it, an architectural band is painted
depicting blocks of stone placed alternately at the head and edge. The single
blocks, white as the background, are outlined by external black-brown strips
and internal squares of anatirosis with red contour
lines; on each block are painted in yellow and green decorative motifs of dot
rosettes, with lobed petals, in bunches. The row of blocks, inserted between
two horizontal continuous bands, is crowned at the top by a series of palmette
antefixes with seven petals alternating with double triangles with lateral scrolls.
At the bottom it has suspended festoons fixed by nodes of ribbons wrapping
around them. The decorative motif, though modestly interpreted, is linked on
the one hand to the modes of painting of II style for fake architecture,
complete with crowning and garlands, (Note 5) on the other to a repertoire,
that of garlands and/ or festoons, typical of funerary art with a continuum
ranging from early Hellenism to late Roman times. Let us cite, by way of
example, the relief decoration of the tomb of the Garlands outside Porta
Ercolano in Pompeii or the pictorial decoration of garlands, bandages and
bucrania of the funerary chamber discovered in 1921 in Naples during the works
of the "direttissima" in the area of Via
Foria. (Note 6) Compared to the latter, dated by an
inscription and paintings of the late II style to the Augustan age, the
Pompeian tomb appears however later both for the ornaments painted on the
ashlar and for the type of niche monument itself which appears in Pompeii only
in the last decades of the city's life; this chronology can also be deduced
from the excellent state of conservation in which the monument was found.
In the centre of the internal space of the aedicule, a small altar was found that had unfortunately disappeared some time since. 0.54m high, with a square base of 0.28m on the sides, it had a protruding base and frame made of bricks. On the white surface of the covering plaster there was a modest pictorial decoration (fig. 6) with motifs of festoons with twisted bandages fixed by knots at the corners, a motif that, typical of the altars - remember for example the funerary altars with garlands in relief of the tomb of the Ghirlande at Porta Ercolano - it repeats, simplifying that of the walls of the monument. Above the festoon on the front side a flower was painted between two leaves. Below it was a fighting scene between two basket-wielding pygmies, painted in yellow monochrome. The theme of boxing and the funeral game in general, of very ancient ancestry, is interpreted here in a "Nilotic" key using the characters of that repertoire which had enjoyed the greatest favour in Campania and Lazio since the end of the second century. B. C. to the end of the first century. B. C. (Note 7)
Finally, the monument is completed by two low masonry podiums in opus incerta covered with coarse white plaster that run, extending the line of the walls of the aedicule, to the sides of the opening, to protect access from the accumulation of the earth and at the same time with function of seats used on the occasion of periodic funeral ceremonies.
Unfortunately, no lapidary epigraph accompanied the small monument: it is however probable that a charcoal inscription, repeating the surname CLEMENS twice on the back wall, indicates by its position the holder of the sepulchre. (Note 8) As for the other title, PARIS, a surname frequent in Pompeian epigraphy, (Note 9) graffiti on the right wall of the tomb, we must think of an occasional visitor to the tomb. The topographical problem constituted by the isolated position of this monument with respect to the other Pompeian necropolises has now (December 1983) been clarified by the exploration of the area north of the cemetery with the discovery of a new villa. As had already been verified for the not far away burial ground of the Arrii (Note 10) we are also here in the presence of a tomb (or a group of tombs?) related to the villa to which it was connected by a path now glimpsed in the first exploration trenches.
Stefano De Caro
Note 1: The archive file of the Superintendency contains Della Corte's note, the excavation reports by the assistant G. D'Avino, Maiuri's provisions on safeguard measures. The new reliefs are by the designer Ciro Vito.
Note 2: A very brief news of the discovery was given by M. DELLA CORTE in NSc 1936, p. 352.
Note 3: Similar to this is the
small monument in the Arrii sepulchral area outside Porta Ercolano, marked with
the number 41 on the Eschebach map (in H. ESCHEBACH, Die städtebauliche
Entwicklung des antiken Pompeji, RM XVIII Ergänzungsheft, Heidelberg 1970): cf. now V. KOCKEL, Die
Grabbauten vor dem Herkulaner Tor in Pompeji, P. R. von Zabern, Mainz,
1983, p. 180 et seq., Pl. 67a-b (Grabbauten cited below). The same is true of
tombs n. 25 a OS and n. 17 bis a-b OS of the
Necropolis of Porta Nocera: cf. S. DE CARO - A. D'AMBROSIO, in Un impegno per Pompei. Fotopiano e documentazione della necropoli fuori Porta Nocera, Touring Club Italiano, Milano 1983, schede relative; infra citato Necropoli.
Note 4: Per l'uso
cfr. J. TOYNBEE, Death and Burial in the Roman
World, 1971; V. KOCKEL, Grabbauten cit., passim; S. DE CARO - A.
D'AMBROSIO, Necropoli cit., passim.
Note 5: cfr. ad
es. le pitture del tablino della casa di Obellio Firmo, IX, 10, 1-4, NSc 1911, p. 216 fig. 2.
Note 6: cfr. A.
LEVI, Camere sepolcrali scoperte in Napoli durante i lavori della
Direttissima Roma - Napoli in MALinc, XXXI, 1926,
p. 377 e ss., fig. 8.
Note 7: cfr. AA.
VV., Pompei, 1748 - 1980. I tempi della documentazione, Catalogo della
Mostra Roma - Napoli 1981, Roma 1981, p. 164.
Note 8: Similarly, the names of the deceased inside the tomb of the Flavi in Porta Nocera were written in charcoal: cfr. S. DE CARO - A. D' AMBROSIO, Necropoli cit., Tomba 7 OS.
Note 9: cfr. CJL,
IV, Indices, p. 775.
Note 10: For the burials of the Arrii, cfr. NSc
1929, p. 188 e ss.; cfr. anche M. DELLA CORTE, Case e abitanti di Pompei,
Fiorentino, Napoli 3a ed., 1965, p. 113 e nota 3.

Tomba in località
Cimitero di Pompei. Ubicazione della tomba. Location
of the tomb.
Vedi/See De Caro, S., Notizie di vecchi scavi. Una tomba antica nel cimitero di Pompei, in Pompeii Herculaneum Stabiae, 1983, p.
41, fig. 1.

Tomba in località
Cimitero di Pompei. La tomba all'atto del rinvenimento.
The tomb at the time of the discovery.
Vedi/See De Caro, S., Notizie di vecchi scavi. Una tomba antica nel cimitero di Pompei, in Pompeii Herculaneum Stabiae, 1983, p.
42, fig. 2.

Tomba in località
Cimitero di Pompei. Sistemazione attuale della tomba.
Current arrangement of the tomb.
Vedi/See De Caro, S., Notizie di vecchi scavi. Una tomba antica nel cimitero di Pompei, in Pompeii Herculaneum Stabiae, 1983, p.
42, fig. 3.

Tomba in località
Cimitero di Pompei. Pianta. Plan.
Prospetto. Frontal prospective.
Vedi/See De Caro, S., Notizie di vecchi scavi. Una tomba antica nel cimitero di Pompei,
in Pompeii Herculaneum Stabiae, 1983, p. 43, fig. 4a, 4b.

Tomba in località
Cimitero di Pompei. Sezione A-A. Section A-A.
Vedi/See De Caro, S., Notizie di vecchi scavi. Una tomba antica nel cimitero di Pompei, in Pompeii Herculaneum Stabiae, 1983, p.
44, fig. 4c.

Tomba in località
Cimitero di Pompei. Sviluppo della decorazione pittorica. Expansion of the pictorial decoration.
Vedi/See De Caro, S., Notizie di vecchi scavi. Una tomba antica nel cimitero di Pompei, in Pompeii Herculaneum Stabiae, 1983, p.
46, fig. 5.

Tomba in località
Cimitero di Pompei. L'altare funeraria. The funeral
altar.
Vedi/See De Caro, S., Notizie di vecchi scavi. Una tomba antica nel cimitero di Pompei, in Pompeii Herculaneum Stabiae, 1983, p.
47, fig. 6.
Nel 1933, durante
i lavori di scavo per le fondazioni del muro perimetrale nord del Cimitero di
Pompei (1), venne alla luce un piccolo monumento funerario isolato, tuttora
visibile in una nicchia del muro moderno opportunamente modificato per
conservarlo.
Il sepolcro, del
tipo a nicchia (2), è costituito da un piccolo ambiente voltato, a pianta
quadrata, aperto sul lato anteriore e coperto da lastre di terracotta disposte
a due spioventi. All'interno la tomba presenta, appoggiato al · 1a parete di
fondo, un bancone in muratura dove sono due fori circolari, corrispondenti alle
terminazioni di due tubi fittili, in connessione di certo con i sottostanti
cinerari murati nel bancone; le pareti sono decorate da motivi dipinti
sull'intonaco bianco: una fascia a finti blocchi di pietra ornati da rosette a
punti, a petali lobati, a mazzetto, sormontati da una serie di antefisse a
palmette alternate a doppi triangoli con volute, mentre al di sotto pendono
festoni tenuti da vittae che si avvolgono attorno ad
essi.
Al centro
dell'ambiente era un piccolo altare ora scomparso, anch'esso decorato da motivi
dipinti, con festoni, un fiore tra due foglie e una scena di combattimento tra
due pigmei armati di cesti, dipinti in monocromo giallo, probabilmente una
scena di pugilato interpretata in chiave "nilotica".
Davanti al
monumento sono due bassi podii in muratura a
protezione dell'ingresso e utilizzati come sedili in occasione delle cerimonie
funerarie.
Due nomi erano
scritti, l'uno a carboncino (Clemens), l'altro graffito (Paris) sulle pareti
della tomba, priva di epigrafe.
È probabile che
il sepolcro fosse connesso alla villa rustica rinvenuta recentemente a nord del
Cimitero (3), come accade anche in altri casi nel territorio pompeiano.
Grete
Stefani
Note 1: Cfr. M.
DELLA CORTE in NSc 1936, p. 352.
Note 2: S. DE
CARO, Notizie di vecchi scavi. Una tomba antica nel
cimitero di Pompei, in Pompeii Herculaneum Stabiae, Boll.Assoc.Amici di Pompei I, 1983, pp. 41-48.
Note 3: Su tale
villa cfr. IBID., p. 48 e A. VARONE, Comune di Pompei. Via Nolana, area a nord
del Cimitero, in RivStPomp I, 1987, pp. 159-161
Vedi Stefani, G., 1998. Pompei oltre
la vita: Nuove testimonianze dalle necropoli. SAP Catalogo della Mostra,
p. 112.
In 1933, during the excavation work for the foundations of the northern perimeter wall of the Pompeii Cemetery (Note 1), a small isolated burial monument was unearthed, still visible in a niche of the modern wall appropriately modified to preserve it.
The burial, of the niche type (Note 2), consists of a small vaulted room, square in plan, open on the front side and covered with terracotta slabs arranged in two slopes. Inside the tomb, leaning on the back wall, is a masonry counter where there are two circular holes, corresponding to the terminations of two clay pipes, connected with the underlying cinerary urns walled into the counter; the walls are decorated with motifs painted on the white plaster: a band of faux stone blocks decorated with rosettes with dots, with lobed petals, in bunches, topped with a series of antefixes with palmettes alternated with double triangles with scrolls, while below hang festoons held by ribbons that wrap around them.
At the centre of the room was a small altar, now disappeared, also decorated with painted motifs, with festoons, a flower between two leaves and a fight scene between two pygmies armed with boxing gloves/baskets, painted in yellow monochrome, probably a boxing scene interpreted in a "Nilotic" key.
In front of the monument are two low masonry podiums to protect the entrance and used as seats during funeral ceremonies.
Two names were written, one charcoal (Clemens), the other graffiti (Paris) on the walls of the tomb, without an epigraph.
It is likely that the tomb was connected to the rustic villa recently found north of the Cemetery (Note 3), as also happens in other cases in the Pompeian territory.
Grete
Stefani
Note 1: See M. M Della Corte
in NSc 1936, p. 352.
Note 2: S. De Caro, Notizie di vecchi scavi. Una tomba antica nel cimitero di Pompei, in Pompeii Herculaneum Stabiae, Boll. Assoc. Friends of Pompeii I, 1983, pp. 41-48.
Note 3: On that villa see. IBID., p. 48 and A. VARONE, Comune di Pompei. Via Nolana, area a nord
del Cimitero, in RivStPomp I, 1987, pp. 159-161
See
Stefani, G., 1998. Pompei oltre la vita:
Nuove testimonianze dalle necropoli. SAP Exhibition
Catalogue, p. 112.
Sono cominciate,
nel novembre 1985, le esplorazioni sistematiche dell'area già destinata
all'ampliamento del Cimitero di Pompei e rivelatasi invece interessata dall'impianto
di una villa rustica di età romana (cfr. S. De Caro, in PHS, r, 1983, p. 325,
n.5, e v. pure p. 41 ss.) (fig.21).
Tali primi
interventi, tesi soprattutto a circoscrivere l'area sulla quale insiste il
rudere antico, hanno già portato, mentre sono in corso ancora gli scavi, ad una
delimitazione sul lato sud (quello più prossimo al muro di confine del
Cimitero) e su quello ovest del perimetro della villa.
Questa mostra sin
d'ora di essere di dimensioni ragguardevoli, sviluppandosi su una superficie
non ancora completamente determinata, ma già al presente del tutto considerevole.
Mancano al presente indicazioni precise sui confini dei versanti nord ed est,
qui soprattutto in relazione ad una struttura, ancora di non chiara lettura,
apparsa in parete in un saggio ai confini dell'area espropriata dal Comune di
Pompei e insistente quindi in un terreno di proprietà di privati, non ancora soggetto
ad esplorazioni. Di tale struttura (forse pertinente ad un ninfeo posto nel giardino
della villa?) non è possibile al momento determinare ancora i collegamenti con
il corpo della villa, in relazione al quale essa si pone a NE
in posizione notevolmente decentrata.
Frammenti di
intonaci affrescati, di buona fattura, rinvenuti in zona durante gli scavi,
lasciano ben sperare circa l'esistenza di ambienti di una certa eleganza, pur
nel contesto di un insediamento preminentemente rurale, come, al di là di ogni
indicazione topografica, evidenziarono i solchi agricoli delle colture messi in
vista durante i saggi compiuti nel 1983, in un'area adiacente al versante ovest
della villa.
C'è purtroppo
parallelamente da lamentare sin d'ora che l'impianto è attraversato in senso
est-ovest da una fascia, larga all'incirca dieci metri, di terreno sconvolto, che
gli strati superiori sondati hanno chiaramente evidenziato. Si teme fortemente
allora - o, piuttosto, si è sicuri - che tale sconvolgimento, verosimilmente
avvenuto intorno al 197 I durante opera di estrazione del lapillo, sia spia di
gravi danneggiamenti subiti in quella fascia dalle strutture antiche negli
strati inferiori. Di questi allora i numerosi frammenti di intonaco presenti negli
strati alti sull'area in quesione verrebbero
purtroppo ad essere ulteriore prova.
Nel corso dei
lavori si è inoltre cominciato, partendo dall'angolo SO, a mettere in luce le
prime creste murarie. Al presente si sono già messi a vista i tetti di una serie
di ambienti di non grandi dimensioni che ancora conservano in situ alcune delle
tegole di copertura lungo la sommità dei muri. In due di questi ambienti ci si è
imbattuti nelle cavità lasciate dai travi di sostegno
del tetto, che, spezzati dal peso dei proietti vulcanici su essi gravanti, si
sono venuti a disporre in posizione pressoché verticale. Tali cavità sono state
prontamente riempite col gesso secondo il ben collaudato metodo risalente al
Fiorelli, si che al momento dello scavo si potranno recuperare i calchi dei
tronconi.
Nota
interessante, la presenza su molte delle tegole di copertura - aventi dimensioni
standard (cm 65 X 45 ca.), argilla rosso mattone con numerose impurità e sezione
del terminale laterale a quarto di cerchio – del bollo rettangolare (cm 2,2 X
12,9; h. lettere cm 1,7) (fig. 22):
ATTIAE CALLISTE
da risolvere
preferibilmente in Attiae Calliste(nis), secondo l'attestazione
del genitivo di Calliste, quale compare ad es. in CIL VI 9576, 22225, e cfr.
pure il dativo Callisteni di CIL VI 14107, 14113 s.,
17098, 17410, 19813, 24461, 26285, 27378, 28609, 28687, CIL X 5004 (Venafrum), 5986 (Signia) ecc.
Meno probabile appare invece la risoluzione nel gen. Calliste(s), pure
attestato, ad es. in CIL VI 10272, 14110, 18301, 34704e, cfr. inoltre i numerosi
dativi Calliste quali compaiono ad es. in CIL VI 6193, 14111, 15916, 21061, 25745,
29041, 29315, 33086, 35584. Sembra infatti che in tal caso verosimilmente si
sarebbe facilmente evitato il troncamento della desinenza del nome.
Sul cognome
Calliste si confronti H. SOLIN, Die griechischen Personennamen in Rom. Ein Namenbuch, Berlin-New York 1982, pp. 673-675 e per le
attestazioni di esso nell'ambito territoriale si veda CIL x, p. 1070. A Pompei
è attestato da CIL IV 3340 in numerose tabulae ceratae (28, 61, 68, 71, 74, 75, 87, 102, 114) e da CIL X
1033 il solo maschile Callistus portato da un liberto della gens Vibria.
La Gens Attia
(cfr. P. Castren, Ordo Populusque Pompeianus, Roma 1975, p. 140, n. 54) è ben
documentata a Pompei (cfr. CIL IV 2953, 3818, 4287, 8805, 8965, 3340/74,93, CIL
X 8056/6) dove un suo membro, Sextus Attius Amplus, fu anche candidato all'edilità (cfr. CIL IV 3818 e
v. pure 3340/74).
In Campania la
Gens Attia ancora compare a Stabiae (CIL X 8133), a Puteoli (CIL x 2120-2123 e
v. pure 8056/53), a Misenum (CIL x 3386) e a Salernum
(CIL X 644); l'iscrizione, su sarcofago, è però probabilmente di provenienza
esterna).
Alcune tegole con
identico bollo, poi, furono già rinvenute proprio a Pompei nel 1949 durante
lavori nel tempio dei Lari Publici (inv. nrr. 7857, 7859, 7865, 7868,
7873-7876, 7915) e successivamente nell'area della Regio I (ins.
XIII nr. 12: inv. nr. 13833; lato meridionale della
via di Castricio tra le inss. XIII e XIV; inv. nr. 15098; ins. xv, nr. 3: inv. nr. 13793) o in siti ora non più determinabili (inv. nrr. 11873, 17337 s.). Ancor
prima, inoltre, due altri esemplari erano comparsi a Scafati nello scavo di una
villa rustica in contrada Acquavitrara (cfr. DELLA CORTE, in NSc, 1929, p. 377). E pertanto oltremodo probabile che la
figulina sia di ambito propriamente locale. I bolli raccogliticci rinvenuti
nell'area del santuario dei Lari Pubblici, edificato su preesistenze e con l'apporto
di materiale di reimpiego in epoca neroniana e prima del 62 attesterebbero
inoltre per la nostra officina una produzione attiva alquanto anteriormente a
quell'epoca e verosimilmente riportabile già alla prima età imperiale (sui
bolli laterizi pompeiani si cfr. M. STEINBY, La produzione laterizia, in F. Zevi
(cur.), Pompei 79. Napoli 1979, 1983, pp.265-271 e
particolarmente vedi p.269).
Faccio infine
notare che saggi parallelamente effettuati nella proprietà immediatamente a sud
del Cimitero non hanno evidenziato né solchi di coltivazione, né tantomeno la
continuazione della stradina in battuto comparsa tra la villa e la tomba di età
romana messa in luce nell'area stessa del Cimitero di Pompei (cfr. De Caro,
loc. cit., p. 41 ss.).
I lavori appena
iniziati da parte della Soprintendenza Archeologica di Pompei fanno parte di un
piano di intervento pluriennale programmato per il disseppellimento, il restauro
e la valorizzazione dell'importante complesso archeologico suburbano.
Antonio
Varone
Vedi: Varone, A.,
1987. Comune di Pompei. Via Nolana, area a nord del Cimitero, in Rivista
di Studi Pompeiani I, 1987, pp. 159-161.
In November 1985, systematic explorations began of the area already
destined to the expansion of the Cemetery of Pompeii, but which had instead uncovered
the layout of a rustic villa of Roman age (cf. S. De Caro, in PHS, r, 1983, p.
325, n.5, e v. pure p. 41 sqq.) (fig.21).
These first interventions, aimed above all at circumscribing the area on which
the ancient ruin stands, have already led, while excavations are still in
progress, to a delimitation on the south side (the one closest to the border
wall of the Cemetery) and on the west of the villa perimeter.
This already shows it to be of considerable size, covering a surface area not
yet completely determined, but already quite considerable at the present time.
At present there are no precise indications on the boundaries of the north and
east slopes, here above all in relation to a structure, still unclear, appeared
on the wall in a trench on the borders of the area expropriated by the
Municipality of Pompeii and therefore in privately owned land, not yet subject
to exploration. Of this structure (perhaps belonging to a nymphaeum located in
the garden of the villa?) it is not possible at the moment to determine the
connections with the body of the villa, in relation to which it is located to
the NE in a considerably decentralized position.
Fragments of frescoed plasters, of good workmanship, found in the area
during the excavations, give us hope for the existence of rooms of a certain
elegance, even in the context of a pre-eminently rural settlement, as, beyond
any topographical indication, they highlighted the agricultural furrows of the
crops exposed during the trenches carried out in 1983, in an area adjacent to
the west side of the villa.
Unfortunately, at the same time, we must complain as of now that the area is crossed in an east-west direction by a strip of rough terrain, about ten meters wide, which the upper layers probed have clearly highlighted. It is then strongly feared - or, rather, it is certain - that this upheaval, probably occurred around 1971 during the extraction of the lapillus, is a sign of serious damage suffered in that belt by the ancient structures in the lower layers. Of these then the numerous fragments of plaster present in the upper layers of the area in question would unfortunately
Unfortunately, at the same time, it is regrettable that the plot is crossed in the east-west direction by a strip, about ten meters wide, of disturbed terrain, which the upper strata surveyed have clearly highlighted. It is strongly feared then - or, rather, it is certain - that this upheaval, probably occurring around 1971 during the work of extraction of the lapilli, is a sign of serious damage suffered in that belt by the ancient structures in the lower strata. Of these then the numerous fragments of plaster present in the high layers on the area in question would unfortunately be further evidence.
In the course of the works, starting from the SW corner, the first wall crests began to be brought to light. At present the roofs of a series of small rooms have already been exposed which still retain some of the roof tiles along the top of the walls in situ. In two of these environments we came across the cavities left by the supporting beams of the roof, which, broken by the weight of the volcanic projectiles weighing on them, came to arrange themselves in an almost vertical position. These cavities were promptly filled with plaster according to the well-tested method dating back to Fiorelli, so that at the time of the excavation the casts of the sections can be recovered.
Interesting is the presence on many of the roofing tiles - having standard dimensions (cm 65 X 45 approx.), brick red clay with numerous impurities and lateral quarter-circle section - of the rectangular stamp (cm 2,2 X 12,9; h. letters cm 1,7) (fig. 22):
ATTIAE CALLISTE
to
be resolved preferably in Attiae Calliste (nis), according to the attestation
of the genitive of Calliste, which appears e.g. in CIL VI 9576, 22225, and cf.
also the dative Callisteni of CIL VI 14107, 14113 s.,
17098, 17410, 19813, 24461, 26285, 27378, 28609, 28687, CIL X 5004 (Venafrum), 5986 (Signia) etc. Less
probable is the resolution in gen. Calliste (s), also attested, e.g. in CIL VI
10272, 14110, 18301, 34704e, cf. moreover the numerous Calliste datives which
appear e.g. in CIL VI 6193, 14111, 15916, 21061, 25745, 29041, 29315, 33086,
35584. It seems in fact that in this case the truncation of the ending of the
name would probably have been easily avoided.
On the surname Calliste compare H. SOLIN, Die griechischen Personennamen in Rom. Ein Namenbuch, Berlin-New York 1982, pp. 673-675 and for the claims of it in the territorial area see CIL X, p. 1070. In Pompeii it is attested by CIL IV 3340 in numerous tabulae ceratae (28, 61, 68, 71, 74, 75, 87, 102, 114) and by CIL X 1033 the only male Callistus carried by a freedman of gens Vibria.
The Gens Attia (see P. Castren, Ordo Populusque Pompeianus, Rome
1975, p. 140, n. 54) is well documented in Pompeii (see CIL IV 2953, 3818,
4287, 8805, 8965, 3340/74, 93 , CIL X 8056/6) where one of its members, Sextus
Attius Amplus, was also a candidate for aedile (cfr. CIL IV 3818 and see also 3340/74).
In Campania the Gens Attia also appears in Stabiae (CIL X 8133), in Puteoli
(CIL x 2120-2123 and see also 8056/53), in Misenum (CIL X 3386) and in Salernum (CIL X 644); the inscription, on the sarcophagus,
is however probably of external origin).
Some
tiles with the same stamp, then, were already found in Pompeii in 1949 during
works in the temple of the Lari Pubblici (inv. Nr. 7857, 7859, 7865, 7868,
7873-7876, 7915) and subsequently in the area of Regio I (ins. XIII no. 12: inv. no. 13833; southern
side of via di Castricio between insulae XIII and XIV; inv. no. 15098; ins. XV, no. 3: inv.
no. 13793) or in sites no longer determinable (inv. no. 13873, 17337 ff.).
Moreover, even earlier, two other examples had appeared in Scafati in the
excavation of a rustic villa in the Acquavitrara district (see DELLA CORTE, in NSc, 1929, p. 377). It is therefore highly probable that the
origin is strictly local. The stamps found in the area of the sanctuary of the
Lari Pubblici, built on pre-existing buildings and with the contribution of
material for reuse in the Neronian period and before 62, would also attest to
an active production for our workshop quite prior to that period and probably carried
over in the early imperial age (on the Pompeian brick vignettes see M. STEINBY,
La produzione laterizia,
in F. Zevi (cur.), Pompei 79. Naples 1979, 1983, pp.265-271. and particularly
see p.269).
Finally, I would like to point out that parallel tests carried out in the property immediately south of the Cemetery did not reveal any furrows of cultivation, nor the continuation of the small road that appeared between the villa and the tomb of the Roman age, which was brought to light in the area of the Pompeii Cemetery itself (cf. De Caro, loc. cit., p. 41 ff.).
The work just begun by the Archaeological Superintendence of Pompeii is part of a multi-year plan of intervention planned for the excavation, restoration and enhancement of the important suburban archaeological complex.
Antonio
Varone
See Varone, A.,
1987. Comune di Pompei. Via Nolana, area a nord del Cimitero, in Rivista
di Studi Pompeiani I, 1987, pp. 159-161.

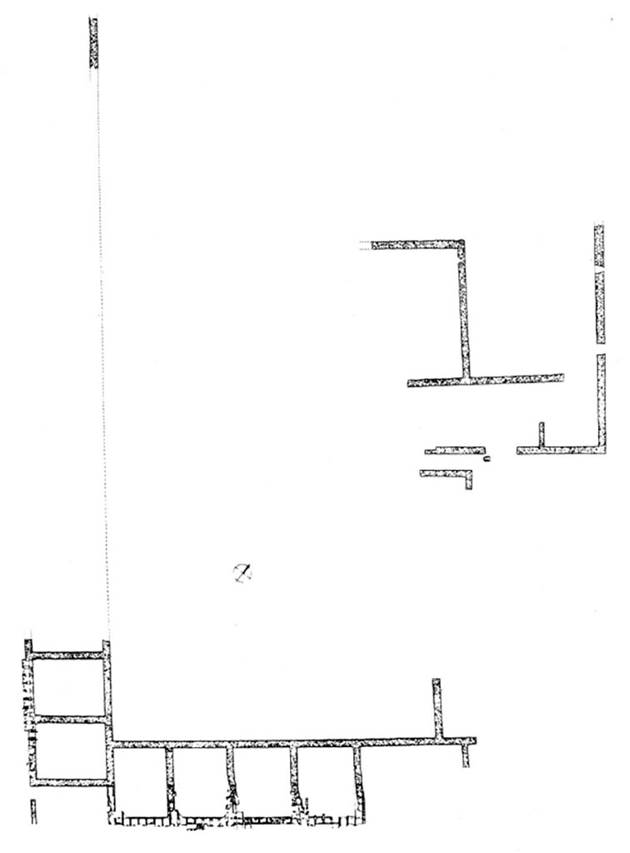
Pompei. Villa
romana in località Cimitero. Rilievo planimetrico a quota del piano di
copertura dopo i primi interventi di scavo.
Floor survey at
the altitude of the roofing floor after the first excavations.
See Varone, A.,
1987. Comune di Pompei. Via Nolana, area a nord del Cimitero, in Rivista
di Studi Pompeiani I, 1987, p. 160, fig. 21.

Fig. 22 Pompei.
Via Nolana, località Cimitero. Bollo di tegola con le lettere ATTIAE CALLISTE.
Tile stamp with the letters ATTIAE CALLISTE.
See Varone, A.,
1987. Comune di Pompei. Via Nolana, area a nord del Cimitero, in Rivista
di Studi Pompeiani I, 1987, p. 161, fig. 22.